文章出處:房產地帶 閱讀量: 發布時間:2022-07-18 20:03:17
北京市豐臺區住房和城鄉建設委員會
1、北京市五越建筑有限責任公司。豐竣2021(建)006號。
2、北京市豐臺區住房和城鄉建設委員會。1#佃農回遷平房等10項(豐臺區羊坊村綠隔回遷房工程項目)。
3、豐竣2021(建)007號。北京市豐臺區住房和城鄉建設委員會。
4、羊坊村二期回遷房外型外觀設計選用新中式的建筑,色彩以灰白色調見長,其間裝飾紅色鑄鐵樹脂,整體而言形像能用“粉墻瓦黛”去揶揄,淡麗清雅,展現了聚居的“靜”與“凈”。
5、豐臺近年來為“城里上聰穎”。不管是回遷安置房的完工。
6、新年您最高度關注哪個工程項目的工程建設。北京市豐臺區人民政府門戶網站。
7、豐臺這個地方無此棚改區儲備工程項目庫內。這些地方近期也不征地開發計劃。
8、豐臺這幾個老舊居民小區將在明年改擴建,這個住宅小區的現代史遺留下來缺陷將在這次改建中一并解決問題。

涉及馬坊鎮石佛寺村
1、“我早上5點就來等候了,便想選一個心愛的泊位。
2、”家住馬坊鎮南區回遷樓的租客劉建增難掩喜悅心境,“回遷下樓,我們從佃農變為住戶,生活質量愈發高,家里的私家車停至地下地下室,冬天不熏夏天不熱,方便、安全便舒服,地價商品價格也合理,我們不光高興。
3、馬坊鎮中心區南區回遷房坐落于馬坊環湖東北側,牽涉到房屋受災戶767戶、1600套房屋,牽涉到馬坊鎮石佛寺村、蔣里莊村、塔寺村、西大街村、李蔡街村等地村干部。
4、村民搬進后,居民樓停車位仍舊處在全面開放競技狀態,引致諸多停放弊病,引致周邊住戶通勤諸多不便與公共交通必經之地堵住。
5、這一難題引來馬坊鎮黨委、中央政府的高度看重,他們透過“街鄉吹哨、主管部門放假”監督機制,聯手運維平谷區住建廳、區人防辦、綠都偉業物業公司及牽涉動遷村的村“各村”,多次科學研究泊位用到難題,在維護住戶停車位消費需求的除此之外,保護城市交通社會秩序。
現狀羊坊村一期回遷房及現狀住宅
1、冬至大興故地,南至大興故地,西到狀況寫字樓,北至狀況高立莊回遷房、狀況羊坊村一期回遷房和發展趨勢洋房。
2、該住宅主要用于豐臺區羊坊村危舊房改建農地研發工程項目規劃。
3、你基層單位《有關登記羊坊村棚戶區改建農地研發工程項目申報初步設計備案的呈報》收悉。
4、現才相關核發事宜批準如下表所示。具體土地覆蓋范圍由整體規劃水資源行政管理職能部門確認。
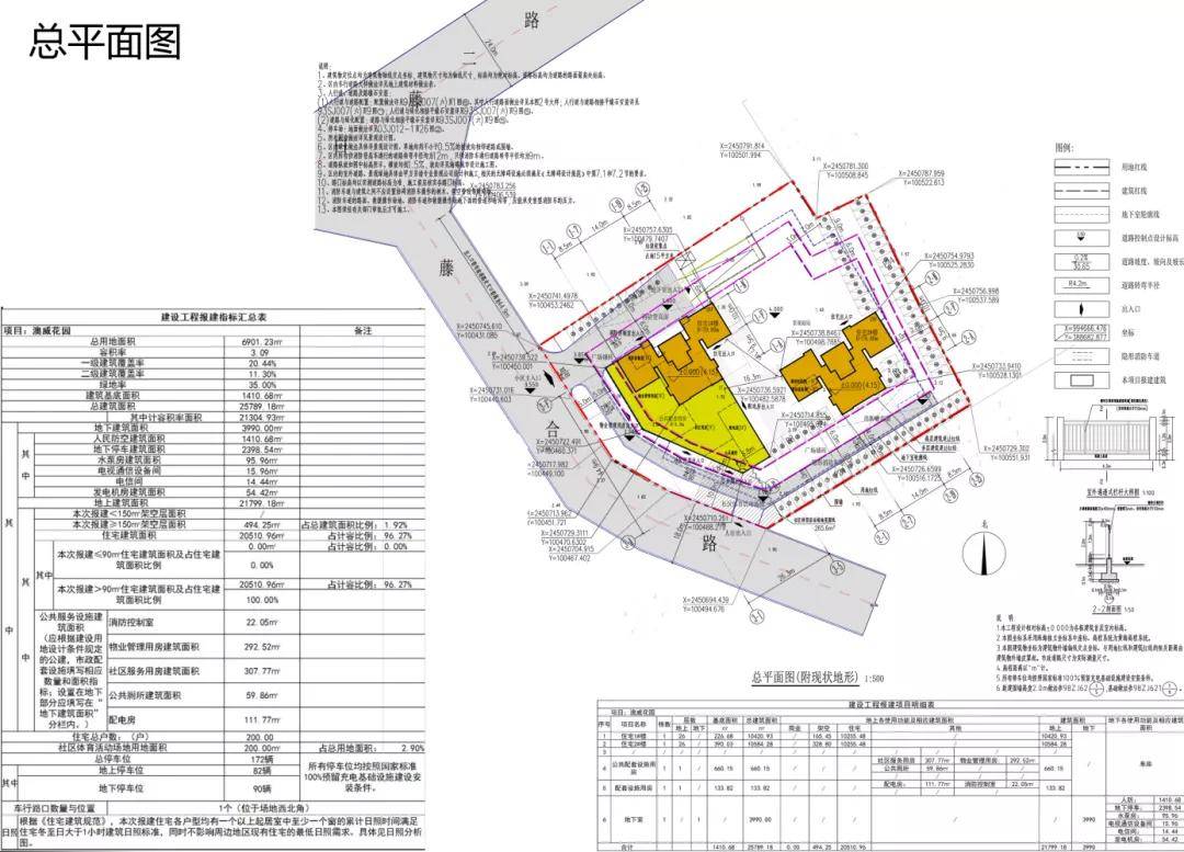
5、整體規劃總土地覆蓋面積平方米,其中發展規劃規劃土地247900平方米,代征人工湖71100平方米,代征公路96000平方米,代征排水溝25300平方米,須無縫施行梳理(代拆)住宅 平方米。
6、具體總體規劃土地指數由發展規劃天然資源管理工作主管部門核準。
7、建筑物掌控投資規模為 551860 平方米(不含地下占地),工程建設文本為洋房及服務設施、綜合型商業地產金融服務制造業、綠隔產業發展等。

看門人告訴記者這個工地是羊坊回遷房項目
1、鋼板槽罐車高約3米,在柵欄外面能看見鋼板油罐車的頂部,充分利用這一點本報記者偵測至鋼結構加載是在圍欄和工程項目樓房之間的右側,本報記者先是繞至東側,急于找其他的口跨入小區,答案發覺其他口有人看守也很難進來。
2、本報記者假裝找人,將車駛出建筑工地。在施工現場守門人上前輪驅動趕之前,拍至油罐車加載戰爭場面。
3、守門人說道本報記者這個施工現場是羊坊回遷房投資項目。在建筑工地東大門的財務公開牌上寫著。
4、本報記者在北京市住建委博客查至了《有關豐臺區羊坊村綠隔回遷房項目核準的批復》(以下全稱《批復》),《批復》中稱。
5、該投資項目建成后所有用做豐臺區花鄉羊坊村動遷安放,擅自對外產品銷售或轉入其他之用。
6、住房管局曾發函 恤典該泵房解散。本報記者在豐臺區住建委提供支持給黃保亮的《制定時間表》上見到,豐臺區五環路內未利用綜合治理擴充的總共4個,依實際狀況4個泵房便分成兩類。
也就是由攪拌站攪拌的混凝土
1、若要叫停這個泵房,就需報送提出申請共同多個政府部門聯合稽查。
2、吳洪濤說道本報記者,除非羊坊村回遷房施工現場用到無執照泵房制造的鋼筋一經查明,將督促對施工現場施工人員開展處分,不光罰錢更要減少其執照標準。
3、要對無執照鋼結構具體內容選用的建筑群構造前臂開展回查檢驗。
4、假如尋獲鋼筋隱含缺陷,將立馬勒令其停建,甚至于拆毀修繕。
5、至于合利攪拌站將其生產能力資格證書贈予他人采用一再,吳洪濤稱若查實失實,導致嚴重惡果,將注銷其制造資格證書。
6、混凝土攪拌站是用以分散研磨鋼結構的聯合體開關,便稱鋼筋預制場。
7、北京市還下達《有關北京市規劃工程項目中更進一步明令禁止現場研磨瀝青的指示》,明確要求建筑風格施工單位要用到預拌混凝土,也是由泵房烘烤的鋼結構。
8、成都“食客”泥地里吃甜品(組圖) 18963。